
Що відомо про це сорті? Ну, як і про всіх інших — заявлено одне, на практиці виявляється так, або трохи не так.
Пам’яті Вчителя все-таки дуже молода форма і точно про неї відомо дуже мало.
Основні якості зараз проходять тестування, але вже стає зрозуміло, що у цього сорту велике майбутнє.
У статті Ви знайдете більше інформації про виноград «Пам’яті вчителя», більш докладний опис сорту та фото.
Зміст:
- Особливості сорту
- Зовнішній вигляд
- Фото
- Історія селекції
- Характеристики сорту
- Хвороби і шкідники
- Корисне відео
Особливості сорту
Сорт винограду Пам’яті Вчителя — столовий підвид любительської селекції. Термін дозрівання — супер-ранній. Урожай дозріває вже до кінця липня — початку серпня. Фермери зазвичай залишають їх повисіти до осені, щоб сахарку поднабрали побільше.
Любимо за ненав’язливу солодкість і легкий мускат в шлейфі. Застосовується як в натуральному вигляді, так і в десертах, компотах, наливку, також в букеті столових вин.
Ягода непогано переносить як транспортування, так і зберігання. Не тріскається, не гниє.
Користується високим попитом у покупців.
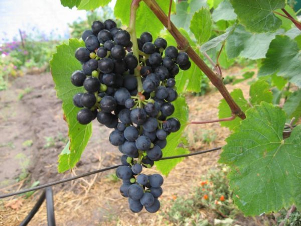
Зовнішній вигляд
Кущі відрізняються високою силою росту. Гроно дуже значна, може досягати 1, 5 і навіть 2 кг, циліндро-конусоподібна, іноді крилата, дуже красива, помірно щільна. До горошенню не розташована.
Ягоди великі, до 15 г, темно-червоного кольору з фіолетовим відтінком.
Шкірка щільна, середньої товщини, з’їдається.
М’якоть щільна, соковита, з відчутним мускатним ароматом. Квітка і чоловічий, і жіночий. Листя велике, темно-зелене, сильно розрізаний, в п’ять лопатей, з червоними черешками.
Визрів втеча світло-коричневий до почервоніння.
Фото



Історія селекції
З’явився на світ завдяки селекціонеру Павловському Е. Р. «Батьки» — Талісман і Кардинал. На поточний момент мало де поширена, крім Причорномор’я, так як заявлені морозостійкість і опірність грибів тестуються.
Характеристики сорту
Врожайність вище середньої. Морозостійкість за попередніми даними — 22-23 градуси за Цельсієм.
Вимагає обов’язкового укриття на зиму. Стійкість до інфекцій заявлена як висока, але на даний момент вивчається. Сумісність з підщепами хороша.
Лоза визріває майже на 100% довжини приросту. Боїться весняних заморозків. Не любить також дуже сильну спеку. Потребує обрізанні на шість-вісім очок, також потрібно видаляти пасинки. Відсоток цукристості 18-20 Brix.
Хвороби і шкідники
Згідно відгуками фермерів, цей сорт просто обожнюють птиці. Але їх зупинити просто — достатньо обгородити виноградник міцної жорсткою сіткою — пернаті загарбники до ягід не доберуться.
Щодо ос єдиної думки серед садівників немає. Одні стверджують, що оси взагалі цей сорт чи не ігнорують, інші — з точністю до навпаки.
Тут краще не гадати, а вжити заходів — запакувати грона винограду в спеціальні сітчасті мішки з дрібними осередками. Крім цього всі гнізда ос на ділянці треба знайти і спалити.
Допоможуть і спеціальні отруйні приманки, тільки без різкого запаху.
Хто буде атакувати точно, так це гронова листовійка. З нею борються за допомогою обприскувань інсектицидами — такими, як токутіон, цимбуш, цідіал, екамет, суміцідін. севін.
Доведеться зіткнутися і з філоксерою. З нею борються карантинним методом: хворий кущ видаляють і спалюють, а якщо хвороба торкнулася тільки листя обривають і теж у вогонь. Але то в ідеалі. На практиці ж кущі обприскують єдино ефективним засобом — пальним сірковуглецем.
Концентрація — триста-чотириста кубічних сантиметрів на квадратний метр. Можна і менше бронебійну — 80 «кубиків», тоді і кущ виживе (сірковуглець для нього дуже отруйний!), і про паразит ви довго не почуєте.
Ще один частий і зовсім небажаний гість на винограді — повстяний кліщ. Боротися з ним чи не важче, ніж з філоксерою, так як паразит живучий і вміє добре ховатися.
Так, прийнято вважати, що він обожнює жерти листя, але буває так, що він на них і не показується, от люди і вирішують, що його на кущі немає. Між тим, він живе і процвітає, тільки не на листках, а в нирках. Які і жере. Щоб його вапна, потрібні також хімікати — Каптан, Купорос, Карате-Зеон, Вертимек, Актара.
Заходи з догляду, які потрібні Пам’яті Вчителя, зовсім не складні, а праця обов’язково окупляться — до дому не вичерпається потік охочих купити саджанці або свіжу ягоду.
Пам’яті Вчителя — зовсім молодий, але вже заслужив популярність у фермерів сорт. Його добре вибирати тим, хто віддає перевагу червоні сорти, при цьому не бажає особливо возитися.
Корисне відео
Більш детальну інформацію про сорт Ви дізнаєтеся з невеликого відео:
